Landvalue

605 987 365

migueljimenez@landvalue.es

INFORMACIÓN DEL SUELO

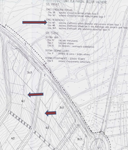
Suelo en CALLE RABASSAIRES, SECTOR VALLVERIC, Nº 14, MATARÓ (Barcelona) Mataró (Barcelona)

Clase suelo: Finalista
Estatus: NA
Calificación: Residencial Unifamiliar
Superficie: 1.013 m²
Edificabilidad: 506 m²
Precio: 207.000 €
Comentarios: Referencia Catastral: 4311705DG5041S0001RJ
VER CATASTRO
IMPRIMIR
Volver

Contacte con nosotros

 

Teléfono: 605 987 365

Mail: migueljimenez@landvalue.es

 

Si lo prefiere, deje su mensaje en el formulario de contacto. Le contestaremos lo antes posible, muchas gracias.

  1. * Campos obligatorios

  2. Debe aceptar la Política de Privacidad.