Landvalue

605 987 365

migueljimenez@landvalue.es

INFORMACIÓN DEL SUELO

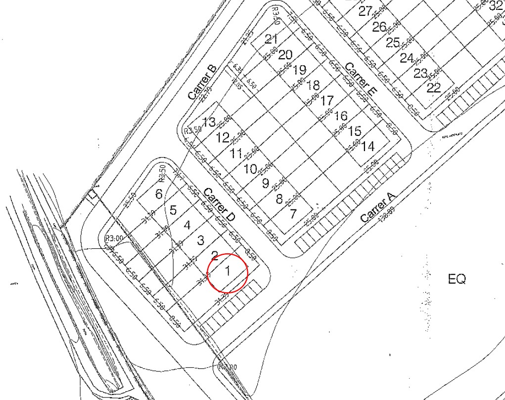
Suelo en SECTOR UD-1. Parcela 1 Sant Martí Sarroca (Barcelona)

Clase suelo: Finalista
Estatus: NA
Calificación: Residencial Unifamiliar
Superficie: 267 m²
Edificabilidad: 156 m²
Precio: 40.250 €
Comentarios: Referencia Catastral: 3427006CF8832N0001YQ. El retranqueo de la fachada alineada a calle puede ser mayor siempre y cuando se mantenga en todas las viviendas.
VER CATASTRO
IMPRIMIR
Volver

Contacte con nosotros

 

Teléfono: 605 987 365

Mail: migueljimenez@landvalue.es

 

Si lo prefiere, deje su mensaje en el formulario de contacto. Le contestaremos lo antes posible, muchas gracias.

  1. * Campos obligatorios

  2. Debe aceptar la Política de Privacidad.