Landvalue

605 987 365

migueljimenez@landvalue.es

INFORMACIÓN DEL SUELO

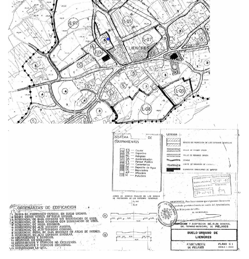
Suelo en BO CRUZ (LA) 5(A) Suelo 39120 PIELAGOS (LIENCRES) (CANTABRIA) Piélagos (Cantabria)

Clase suelo: Finalista
Estatus: NA
Calificación: Residencial Multifamiliar
Superficie: 738 m²
Edificabilidad: 812 m²
Precio: 386.000 €
Comentarios: Referencia Catastral: 5127003VP2152N0001YT. Actualmente se está elaborando nuevo PGOU de Piélagos (fase aprobación inicial)
DESCARGAR FICHA
VER CATASTRO
IMPRIMIR
Volver

Contacte con nosotros

 

Teléfono: 605 987 365

Mail: migueljimenez@landvalue.es

 

Si lo prefiere, deje su mensaje en el formulario de contacto. Le contestaremos lo antes posible, muchas gracias.

  1. * Campos obligatorios

  2. Debe aceptar la Política de Privacidad.