Landvalue

605 987 365

migueljimenez@landvalue.es

INFORMACIÓN DEL SUELO

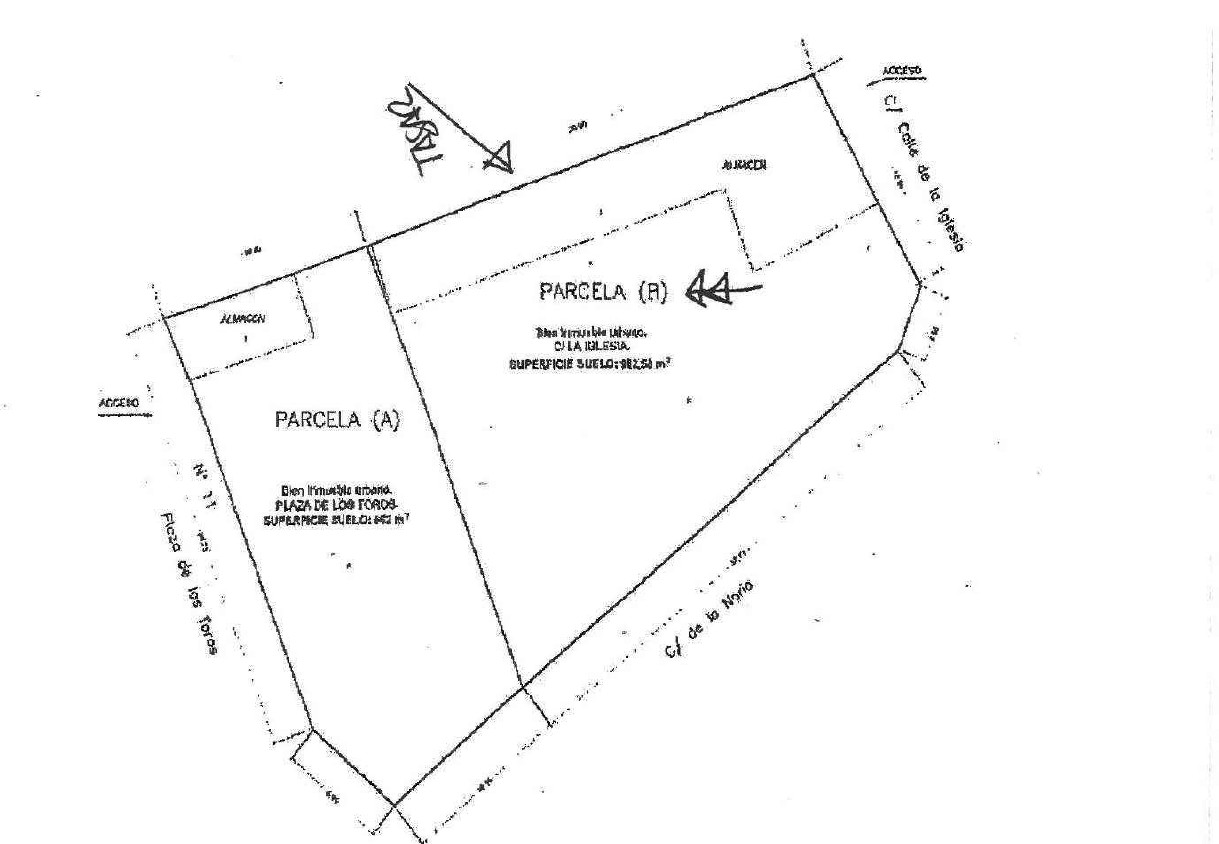
Suelo en CL IGLESIA 104 50730 EL BURGO DE EBRO (ZARAGOZA) Burgo de Ebro, El (Zaragoza)

Clase suelo: Finalista
Estatus: NA
Calificación: Residencial Multifamiliar
Superficie: 983 m²
Edificabilidad: 1.916 m²
Precio: 354.000 €
Comentarios: Referencia Catastral: 8548927XM8084N0001PG.
VER CATASTRO
IMPRIMIR
Volver

Contacte con nosotros

 

Teléfono: 605 987 365

Mail: migueljimenez@landvalue.es

 

Si lo prefiere, deje su mensaje en el formulario de contacto. Le contestaremos lo antes posible, muchas gracias.

  1. * Campos obligatorios

  2. Debe aceptar la Política de Privacidad.